GRD

Ouragan Melissa atteint la catégorie 4, la Jamaïque et Haïti en alerte

Partager
Partager

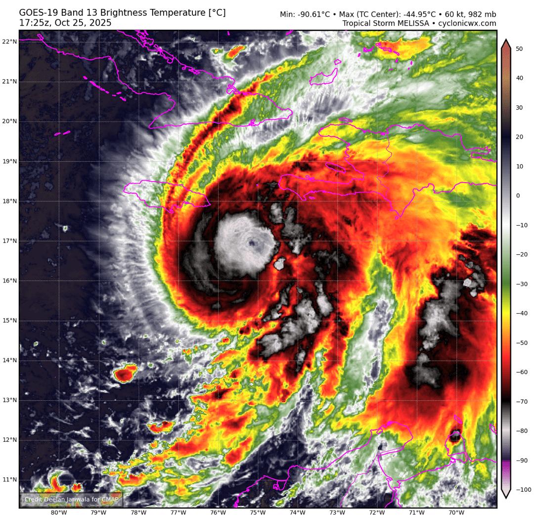
Le Centre national des ouragans (NHC) a indiqué ce dimanche 26 octobre 2025 que Melissa s’est renforcé pour devenir un ouragan majeur de catégorie 4, avec des vents soutenus de 140 mph. La Jamaïque fait déjà face à des pluies torrentielles et à des vents violents, provoquant inondations et glissements de terrain dans plusieurs régions. Selon les prévisions, les effets de Melissa s’étendront au sud d’Haïti dans les prochaines heures, notamment dans les départements du Sud, des Nippes et de la Grand’Anse, où des inondations soudaines et des glissements de terrain sont redoutés. Une veille d’ouragan est également en vigueur pour l’est de Cuba, alors que le système continue de se déplacer vers l’ouest-nord-ouest. Les autorités locales appellent les populations des zones à risque à la prudence et au respect des consignes de sécurité émises par les services de protection civile.

Haïti Climat

Partager
Articles similaires
ClimatGRD

Cap-Haïtien sous les eaux après plusieurs heures de pluie

De fortes pluies tombées pendant environ six heures ont provoqué, ce lundi...

ClimatGRD

De la nécessité de bâtir une culture de prévention face aux catastrophes en Haïti

Quelques jours après le passage dévastateur de l’ouragan Mélissa, qui a durement...

ClimatEnvironnementGRD

Ouragan Melissa : 30 à 60 % des cultures détruites, la sécurité alimentaire en danger en Haïti

La sécurité alimentaire en Haïti s’est fortement détériorée après le passage de...

ÉvenementGRD

Ouragan Melissa : les États-Unis annoncent une aide d’urgence pour les pays caribéens, dont Haïti

Les États-Unis annoncent avoir débloqué une aide humanitaire d’urgence de 24 millions...