GRD

L’ouragan Mélissa s’éloigne d’Haïti, vigilance maintenue dans le Grand Sud

Partager
Partager

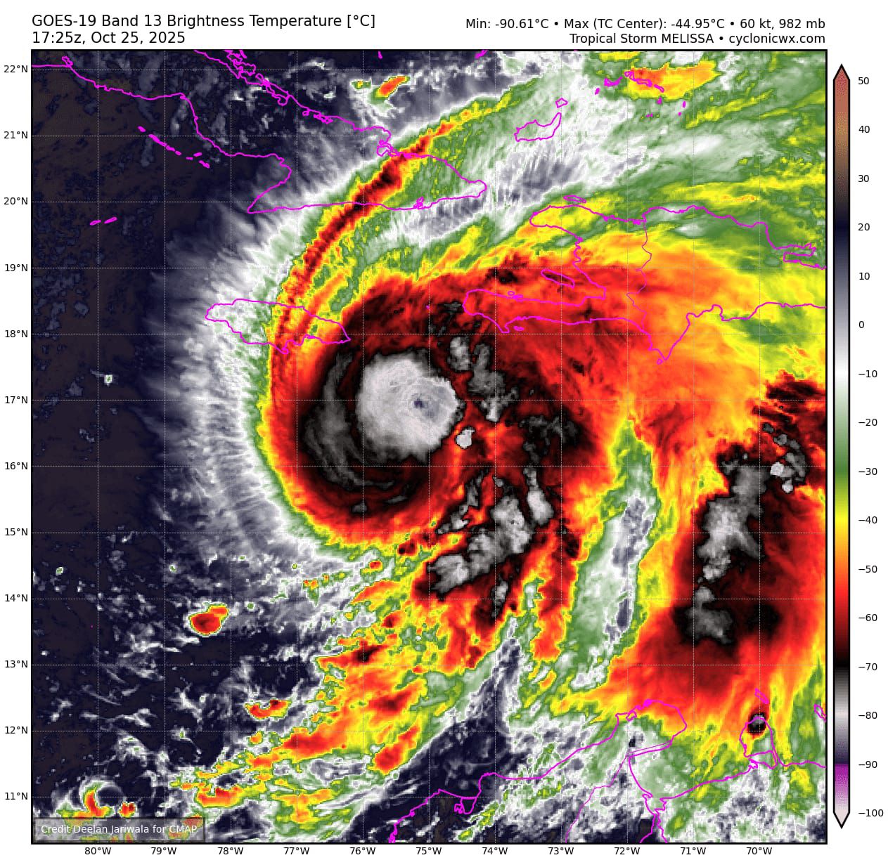
Le centre de l’ouragan Mélissa, classé en catégorie 5, s’éloigne progressivement des côtes haïtiennes, selon l’Unité hydrométéorologique d’Haïti (UHM). Si le pays ne sera pas directement touché, les bandes périphériques du système continuent de provoquer de fortes pluies et des rafales de vent, surtout dans les départements du Sud et de la Grand’Anse, placés en vigilance rouge. Des cumuls de pluie pouvant atteindre 400 mm sont attendus jusqu’à ce lundi, avec des risques d’inondations et de glissements de terrain. L’UHM invite la population à suivre les consignes des autorités et à rester vigilante. Par ailleurs, le temps demeure nuageux à couvert sur une grande partie du pays, avec quelques averses isolées possibles dans l’Ouest, l’Artibonite et le Nord-Ouest. Les températures varient entre 28 et 32°C dans la journée et 20 à 24°C la nuit. Les prévisionnistes annoncent que les conditions météorologiques resteront influencées par Mélissa jusqu’au mardi 28 octobre.

Haïti Climat

Partager
Articles similaires
ClimatGRD

Cap-Haïtien sous les eaux après plusieurs heures de pluie

De fortes pluies tombées pendant environ six heures ont provoqué, ce lundi...

ClimatGRD

De la nécessité de bâtir une culture de prévention face aux catastrophes en Haïti

Quelques jours après le passage dévastateur de l’ouragan Mélissa, qui a durement...

ClimatEnvironnementGRD

Ouragan Melissa : 30 à 60 % des cultures détruites, la sécurité alimentaire en danger en Haïti

La sécurité alimentaire en Haïti s’est fortement détériorée après le passage de...

ÉvenementGRD

Ouragan Melissa : les États-Unis annoncent une aide d’urgence pour les pays caribéens, dont Haïti

Les États-Unis annoncent avoir débloqué une aide humanitaire d’urgence de 24 millions...