GRD

Alerte rouge : l’ouragan Melissa menace le Sud et la Grand’Anse

Partager
Partager

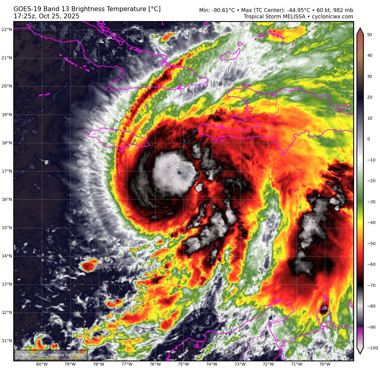
Les départements du Sud et de la Grand’Anse ont été placés en alerte rouge ce samedi 25 octobre 2025, alors que la tempête tropicale Melissa s’est intensifiée pour devenir un ouragan de catégorie 1. Les vents atteignent 200 km/h, se déplaçant lentement à 4 km/h vers Haïti, et jusqu’à 500 mm de pluie sont attendus dans certaines zones.

Haïti Climat

Partager
Articles similaires
ClimatGRD

De la nécessité de bâtir une culture de prévention face aux catastrophes en Haïti

Quelques jours après le passage dévastateur de l’ouragan Mélissa, qui a durement...

ClimatEnvironnementGRD

Ouragan Melissa : 30 à 60 % des cultures détruites, la sécurité alimentaire en danger en Haïti

La sécurité alimentaire en Haïti s’est fortement détériorée après le passage de...

ÉvenementGRD

Ouragan Melissa : les États-Unis annoncent une aide d’urgence pour les pays caribéens, dont Haïti

Les États-Unis annoncent avoir débloqué une aide humanitaire d’urgence de 24 millions...

GRD

Ouragan Melissa : 43 morts confirmés en Haïti, les funérailles prévues cette semaine

Le directeur général de la Protection Civile a annoncé ce mardi 4...